The Best Story I Will Ever Tell
As all decent people know, the impersonal form letter should be used very rarely - if ever. Something really interesting needs to happen to justify one and I had long suspected I would never write one - anything that interesting would likely have killed me before I could write about it. But Kim and I have achieved that level of interesting, so here goes the most interesting story I will ever tell - and my excuse for dropping off the face of the earth for a good while.
Back when Sean was in high school, Kim and I bought a house in the jungle, on a river in Dominica. Sean got a full scholarship to college (Roll Tide) and that sure helped get us moving. We spent years changing everything with work. Then once we knew Sean was settled in college we started packing and sold everything in Washington. I moved first

Then spent several months getting the house fixed up. Then I went back to Washington to pack up our cat and old dog and I finally got Kim to the beach she deserves.
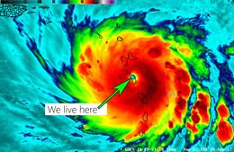
We spent a couple of weeks getting things settled and on September 18th we had planned to hang Kim's hammock on the deck. That day started with the news that a tropical storm that had been tracking to the north had been upgraded to a hurricane and it was possible it could affect Dominica. So we cleaned up outside and went shopping. Around sunset we checked the news and learned that the "normal" category 1 hurricane had grown at one of the fastest rates in recorded history and was now a category 5 monster.
And, of course, it was headed directly at us and there was no time for further preparations.
Yeah, we were screwed.
Hurricane Maria was by far the worst storm ever to hit Dominica and with sustained winds of over 175mph it was like getting hit by a T3 tornado (for 4 hours).
We live about 45 ft above the typically pristine Coulibistrie River and it is normally strewn with boulders and rocks. Once the rain started the river rocks started to move and we couldn't hear much over the grinding of boulders hitting each other. It was so loud I didn't have any idea just how scared I should have been - couldn't hear all the trees breaking and stuff flying. We did catch glimpses of the enormous amount of rain pouring down - it was comical in quantity. None of the rain gauges on the island could record the rainfall but a day later Maria dumped about 27" on Puerto Rico and at times it was coming down at more than 6" per hour.
Things really started to get interesting after the 1st tree hit the roof. This was soon followed by an enormous boom and horrible scraping noise. I figured a big rock had hit the front door. Then I noticed that we had a new waterfall - inside the house. The 2nd floor wall had cracked and now water and mud were pouring in. At this point we headed to a windowless concrete storage closet with a barometer.
Even if the roof failed we figured we would still have the concrete roof above us. Sat there for hours watching the barometer needle continue to drop. Then it got quiet and the needle had not gone up yet - the discouraging moment we realized we were in the eye and it was only half over.
Then things got worse as the wind shifted and began coming up the valley rather than blowing over it. I learned that when a lime tree explodes you can smell it. And then water started getting sucked in and it started spraying bits of leaves and mud throughout the house. The spray destroyed our computers and I was computerless for 6 weeks - that was rough.
Sometime in the middle of the night it turned into a normal rain storm and we tried to get some rest on the couch. We would end up eating and sleeping here for the next few weeks
The next morning was more than interesting. Every tree was broken, the leaves were gone and we had quite a mess to clean upThat thump against the house was actually a landslide that took the hill behind the house and tried to shove it though our front door
The biggest break we caught was that it did not get through the door. We would have been roughly underneath the house had the door and wall given way.
But it stopped here
and the wall stopped cracking here
.
And unlike most people we still had a roof!
Inside the house wasn't that bad

So we have to replace the broken wall and the kitchen (and the roof because it rests on the wall and the kitchen).
We were "prepared" and had a 65 gallon drum of water and enough beans and rice for a month. Would have been a great plan had the supplies (and BBQ) not ended up under the landslide. We couldn't even get into the kitchen at first. So the first thing we had to do was to chop through a window shutter with a hand ax and Kim jumped into the muck to see what we could salvage. Our food was gone but we got some dog food out and about then Rasta Larry came along to check on us (much to his own peril) and report that the village had been destroyed and the only road between our house and the destroyed village was gone. Here was the view from our nearest neighbor with our house in the background. The road between the two houses was gone and replaced by the river
The next day we hiked into the village and the destruction was horrifying. On top of the normal wind and rain one thinks of with a hurricane the river had flooded and left several FEET of landslide debris, rocks, gravel and sand behind. Entire houses were missing, some were blown apart, some had filled with 6 feet of sand. The road and even the cemetery were buried under feet of rocks

The next town over was even worse

And most everything else on the island (like Roseau, the capital) was destroyed. We ended up calling that place "Little Haiti"

The roads were (and are) a mess. A section of the national highway

By then we were hearing reports of looting and decided to stay home for a bit - we now had a protective moat but didn't need it. What we did need though was food and water. We were now part of a full blown humanitarian crisis - this was not our original plan at all. This place was a challenging, obscure 3rd world village before the storm and now it was a seriously screwed up, mangled mess and we were waiting on food lines

The Dutch navy brought some food and for the next couple of weeks we mostly stayed home while trying to deal with the intense heat the lack of shade brought us. I spent a lot of nights sleeping out in a deck chair

Occasionally I would go for a stationary "ride" in our trapped RAV4 to charge our phones and enjoy a bit of air conditioning. We spent weeks washing, bathing and hauling water from the river

Eventually we ran low on dog food and that prompted a trip to Roseau. By then a 4pm curfew had been put in place and the few open stores had Jamaican soldiers with automatic weapons.
We also managed to get a text message to Sean and asked him to spread the word we were alive. For the next month communication with the world mostly consisted of typing a text, placing the phone on a certain spot and hoping it would eventually get sent. Then wait for a reply. It was like texting Mars or something. But it worked and Sean was able to keep us up on the news and take over our business stuff (while also going to school and moderating the Dominica Reddit page and filling it with more information than any other source).
We couldn't risk the river rising and stranding us at home (or away from the pets) so eventually we had to leave our house and temporarily move north to Picard - home to Ross Medical University. Picard is currently a very strange place that is made up of an odd forest of empty student apartments

We are staying in an empty apartment building that gives off the feeling of living in Nebraska

The school evacuated to St. Kitts and housed everyone on a rented cruise ship. Now they are moving everyone to Tennessee for the next semester. This will be a ghost town until the summer.
With the help of Larry we got Booduh evacuated across the river.

After a month we managed to get an insurance appraiser up to the house and we are still waiting on his report so we can settle our claims. Kim was smart enough to have added landslide insurance so we should be OK - eventually. The real challenge has been trying to find a excavator to rebuild the road. We had been waiting on the excavator that has been digging out the river and the village road but that hasn't happened - so we have tracked one down ourselves and hope to be able to drive to our place again in a week or two. Then we can get our car out, return our rental car and and hopefully begin clearing the landslide debris. Then we can think about repairing the house.
At this point it is undecided if the government will give up on our village. The Prime Minister has suggested relocating it. While relocation would likely be voluntary they may in effect abandon the village and not restore things like the roads, the electric and the water. This may leave us putting in solar power and pumping water from the river. We also may be unable to insure the place again. Whatever.
Things here are still an enormous mess but calming down. All the relief agencies are here now. There is food and gas and we managed to find pizza and ice cream for Thanksgiving. But damn it is weird still. This place seemed like we may have been going "too far" before the storm and now it is fairly to mostly nuts.
People have started to burn the debris and haul in new equipment. Because of all the broken utility poles each truck has children perched on top to ensure the trucks miss the wires. And the kids are wearing bandanas and face masks because of the smoke. So it looks like Mad Max out there sometimes with masked children surrounded by smoke atop moving trucks against a backdrop of devastation. Makes me question my life choices at times.
Regardless of the apocalypse we are here for a while - not much choice really so I figure it isn't even worth considering leaving. We have to stay to salvage or sell our house. We also feel like we haven't even lived here yet - and would like to. And our dog Booduh is too old to put through another move anyway. So we will be here for the next while. We will be fine too. The village has somewhat adopted us and folks look out for the crazy white people in the bush. People have been very kind to us.
In a sense this actually helps us get settled here. We are getting in on the ground floor of the new reality here - sort of like being here since "the beginning."
And we hope to start snorkeling and diving again soon. Not appropriate to do that yet but things are improving - slowly. They say power will be restored island wide by April but that seems optimistic. No idea when we might get water or a real internet connection - maybe a year?
And that is where I have been - packing, moving, fixing up the house, moving Kim and the pets, settling in to our new life, and promptly having the entire nation destroyed.
Overall, this is not at all what we signed up for but we did want something "interesting" for the next part of our lives and we have certainly achieved that goal. And we do still like it here.
Some bonus video:
Coulibistrie destruction shot from a drone
Video of Coulibistrie before and after the hurricane